40/42 Interchange Construction

Discussion in 'Discussion Group' started by jesse82nc, Apr 22, 2019.

  1. BuzzMyMonkey

    BuzzMyMonkey Well-Known Member

    I was trying to remember the name but can’t right now.
     
  2. jesse82nc

    jesse82nc Well-Known Member

    I think the 76 lost too much property in the road realignment. They probably didn't want to be there any more with half their parking lot gone.
     
  3. markfnc

    markfnc Well-Known Member

    I found Jesses old picture from the 76/Citgo. they do lose most of lot. The markings are regarding another conversation.
    [​IMG]
     
  4. markfnc

    markfnc Well-Known Member

    I only get thru 42 between Clev Rd and I 40 in early morning, or weekends. Are they working during the day or night? I haven't seen much progress. They tore up the curb etc. along the rd. near old DQ, but nothing in weeks it seems. There is a decent drop off to the exposed dirt. I also don't know why the lane expansion has had no work done In front of Bojangles. new curb inlets are in along there.
     
  5. Smithers

    Smithers Well-Known Member

    It's hard to see the progress being made, but there is active work taking place there at various hours, including nights. I've also seen a little bit of progress on the future traffic circle at the intersection of Glen Rd and Technology Dr.

    I'm curious about the closed section of Old Drug Store Rd. They tore up all the pavement in that section, repaved it, and now there is a raised storm drain in the middle of that paved section, like the curbline will continue straight through on that side of the road. But if so, why did they repave it?! Maybe it will make sense later on.
     
    markfnc likes this.
  6. Smithers

    Smithers Well-Known Member

    I think I figured out my own question. The newly repaved intersection at the "short" Old Drug Store Rd is so wide, they're going to have some sort of median in the middle. That's why there is a drain in the middle of the intersection. Maybe something like this:

    upload_2024-2-23_16-9-39.png
     
  7. jesse82nc

    jesse82nc Well-Known Member

    The red areas are medians. Right in, right out only.

    42.jpg
     
    Smithers likes this.
  8. Smithers

    Smithers Well-Known Member

    Thanks, that's what I suspected.

    Where did you get that map? The DOT website's maps for the I-40/NC-42 project haven't been updated since 2017. I know the project has been modified since then.
     
  9. jesse82nc

    jesse82nc Well-Known Member

    Smithers likes this.
  10. Rockyv58

    Rockyv58 Well-Known Member

    Question about other road work. I have been noticing the orange road signs starting to pop up on Indian Camp road. Anyone know what is going on there?
     
  11. jesse82nc

    jesse82nc Well-Known Member

    Could it be this?


    event.jpg
    A wedding and events venue could open on the land outlined in blue. Courtesy Johnston County
    The Johnston County Planning Board on Nov. 21 gave its blessing to a wedding and events venue at Polenta and Indian Camp roads near Cleveland High School.

    In his application for rezoning, Blake Gotliffe, owner of Under the Oaks Catering in Smithfield, said the project would give new life to Johnston County’s third-oldest home.

    “The property is very large to maintain as a residence,” he said. “It is also across from the school, making it unappealing as a residence.”

    Gotliffe said also that preserving the home as an event space would keep something else from going there. “We will prevent an additional small development from being constructed here or an unattractive commercial business,” he said.

    Johnston County could benefit from another event space, Gotliffe added. “The growing area needs a higher-end wedding venue that provides jobs and keeps money in Johnston County,” he said.

    Just one neighbor had questions about the project. With an event space as a next-door neighbor, Terry Click said he wanted to make sure he could still mow his yard when he wanted to, and he worried about oil and other fluids leaking from cars parked at the venue.

    “I’m concerned about the runoff from the vehicles because I’ve got a shallow well that’s about 60 feet from the property,” Click said.


    Planning Board Chairman Will Letchworth said runoff to his property would not be a problem. The parking lot, he noted, will move to another part of the property, away from his land.

    Click also wondered about noise from the venue, and again, Letchworth reassured him, noting that the venue would close no later than 11 p.m.

    “And when that says 11 p.m., it does mean everything done at 11 p.m.” Letchworth said. “Not, all right the party’s over at 11, and staff are finishing it. It means 11 p.m.”

    Also, the county’s noise ordinance will protect him, Letchworth said. “So if there ever are any issues from a noise ordinance standpoint, it could end up in revoking their special-use permit,” he said. “Then they couldn’t do business anymore.”

    Gotliffe said he planned to add a 5,000-square-foot ballroom to the house, along with a patio. “We plan to keep it just as beautiful as it is now, make it prettier actually,” he said.

    The Planning Board was unanimous in supporting the rezoning request. County Commissioners will have the final say.
     
    NOT WOKE and markfnc like this.
  12. Rockyv58

    Rockyv58 Well-Known Member


    I know about that for months now. But when you turn on to Indian Camp from Polenta you see the first of a few Orange signs. "Roadwork ahead, then between Sommerset and River Oak there is another sign reading "soft shoulder". When you come up Indian Camp and stop at the light you see another sign "End Construction"

    And I am not sure where to look on DOT's web page where to find what is going to be happening. TIA
     
  13. panthersdude2001

    panthersdude2001 Well-Known Member

    540 Eastern Extension. Going to be done in 2028.
     
  14. Judge Smails

    Judge Smails Well-Known Member

    The 540 extension is several miles from Indian Camp Road. This is directly across from Cleveland High School, and 540 will be well on the other side of Hwy 42 in Garner.
     
    panthersdude2001 likes this.
  15. panthersdude2001

    panthersdude2001 Well-Known Member

    Oh okay, thought it was more east than expected.
     
  16. Smithers

    Smithers Well-Known Member

    According to this article, the light at Technology Dr and NC 42 was turned on and put on flashing-mode yesterday. Spoiler alert: it was not. It is still covered with bags.

    The article also says the light should be active on March 27th, that Commerce Parkway becomes "right in, right out" only, and left turns on NC 42 will be restricted. It also says drivers will use the roundabout at Technology Dr and Glen Rd, which doesn't look like it's anywhere NEAR being usable to me.

    So, maybe the changes are close and they just got the dates wrong. I dunno...

    The interchange at Cleveland Rd and I-40 looks like it would be quickest to finish. It looks like it would only take a little bit of work to get that up and running. I'm surprised I don't regularly see people illegally taking the ramp from I-40.
     
    markfnc likes this.
  17. markfnc

    markfnc Well-Known Member

    I'd think they would get the Cleveland rd. exist opened asap, as they will pull a lot of traffic off 42, making it easier to do other changes. Even if these dates are off some, this is exciting news.
     
    Smithers likes this.
  18. Smithers

    Smithers Well-Known Member

    And NOW those lights (at 42 and Technology) are powered on, and flashing. So hopefully they'll be active next Wednesday (or at least by Thursday) like the article stated.
     
    Last edited: Mar 22, 2024
    lgb0250 and markfnc like this.
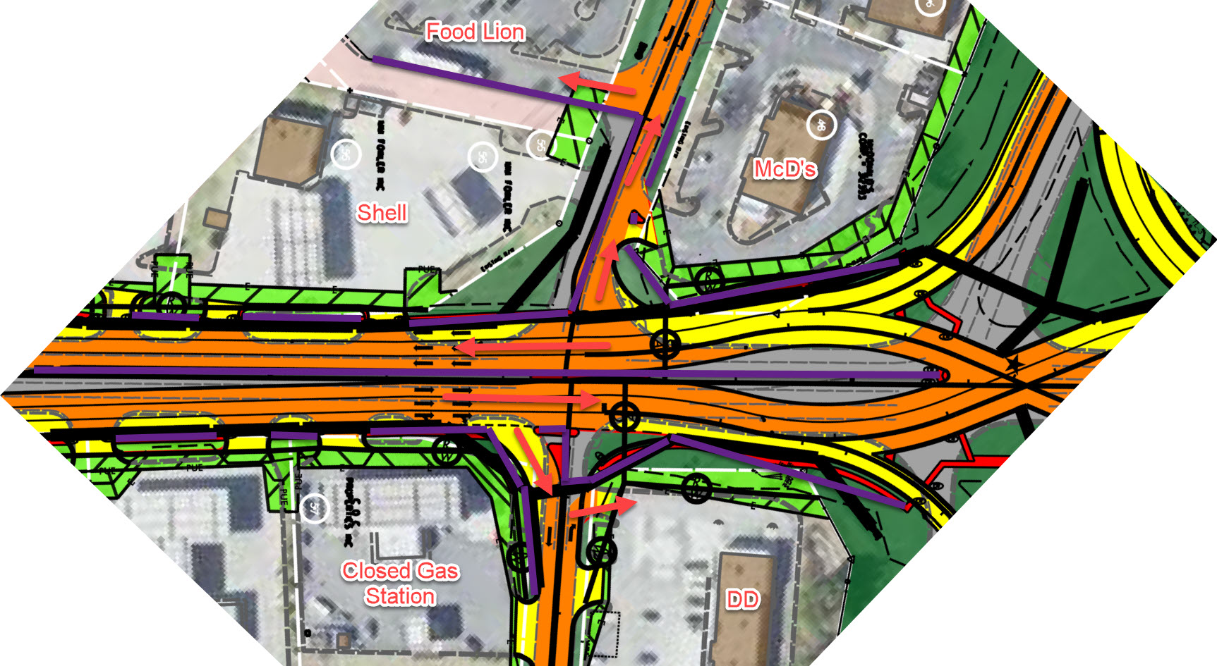
  19. jesse82nc

    jesse82nc Well-Known Member

    Maybe this will be helpful for the McD's intersection. I tried to clear it up a bit. The purple lines will be concrete dividers, areas which you cannot drive past. The red arrows represent possible paths to drive.

    McDs New.jpg
     
  20. markfnc

    markfnc Well-Known Member

    now we will see how the Dunkin donuts does in the new configuration. that was why the Burger King closed. Thanks for posting that again.
     

Share This Page