New Development Activity in the area

Discussion in 'Discussion Group' started by jesse82nc, Aug 14, 2020.

  1. Ryin

    Ryin Member

    I have heard they also were looking at Clayton, originally the Hardees that closed on 70 but the traffic study was not desirable for that spot. Hopefully they find somewhere to put one in Clayton.
     
    markfnc likes this.
  2. Smithers

    Smithers Well-Known Member

    A WRAL article from March lists 9025 Winston Hill in Cary and 3301 Watkins Rd in Durham for Whataburger.

    That's interesting that Fuddruckers is coming back. I didn't realize they still existed. And of course I can't help but think of Idiocracy when I hear their name.
     
    Last edited: Oct 11, 2024
  3. markfnc

    markfnc Well-Known Member

    both of those are closed PDQ's., so since 1 of the others in north Raleigh is, makes sense
     
    Last edited: Oct 16, 2024
  4. markfnc

    markfnc Well-Known Member

  5. Mr. Wolf

    Mr. Wolf Member

    Does anyone have more info on what's going into the old DQ site? Rumors still say Chipotle, but I rarely go that way anymore since the new on-ramp opened at Westview Elementary
     
  6. markfnc

    markfnc Well-Known Member

    only one I've seen on my bid site is an aspen dental. all others are rumors (for now) . Rumors are Chipotle, Mattress store. the developers web site still shows all spaces for rent.
     
  7. Smithers

    Smithers Well-Known Member

    There are lots of different styles of Chipotle buildings, but I found one in Fayetteville that looks pretty darn close to what they've done on Technology Drive.
    upload_2024-10-15_20-46-37.png
     
    markfnc likes this.
  8. Bucky

    Bucky Well-Known Member

    For our permit pros. Has it been actually confirmed yet that Chase Bank is going into an out parcel of the new Publix going in at 50/42? All I remember is seeing a parcel map showing a “proposed” Chase Bank.
     
  9. markfnc

    markfnc Well-Known Member

    Not the Joco Permit site, but my bid site I follow for work, shows a Chase bank in Garner possible bidding Spring 2025, but it's on 70 near the Garner IHOP. That Joco permit site is very touchy with the addresses, so hard to track 1 down there. I don't think they have started the framing for any of the bldgs. out near 50 where that Chase was shown. They have started framing on both sides of the Publix for those shops.
    [​IMG]
     
    Bucky and BuzzMyMonkey like this.
  10. Bucky

    Bucky Well-Known Member

    Appreciate the info but having a new one by the ihop just baffles me since they have another branch within just a couple miles up 70 next to the Red Robin!
     
  11. markfnc

    markfnc Well-Known Member

    They have put up a Mattress Warehouse sign on one of the middle spaces at the old DQ on 42. The space on the far right has to be the Aspen Dental, it looks just like the one in Fuquay. So, as noted above the old DQ space on the left must be the Chipotle with the open space between the drive thru.
     
    Last edited: Nov 12, 2024
  12. markfnc

    markfnc Well-Known Member

    From TBJ
    Chase Bank is planning its latest branch in the wider Raleigh area. JPMorgan Chase (NYSE: JPM) has disclosed the location for its next Triangle branch. The bank filed papers with the Office of the Comptroller of the Currency for a location at the northwest corner of Highway 70 East and McCormick Street in Garner.
     
  13. markfnc

    markfnc Well-Known Member

    i noticed they started clearing for the 2 entrances off NC 42.
     
  14. markfnc

    markfnc Well-Known Member

    My bid site shows a medical office coming to this development.
    MainStreet Family Care - Cleveland Rd / Clayton
    New construction of a medical facility in Clayton, North Carolina. Completed plans call for the construction of a 2,663-square-foot, one-story above grade medical facility.
    https://www.google.com/maps/dir//9182 Cleveland Rd, Clayton, NC 27520 US
     
    Judge Smails likes this.
  15. markfnc

    markfnc Well-Known Member

    From TBJ
    A popular quick-service Mexican food chain is looking to open a second restaurant in a booming North Carolina county.

    Chipotle Mexican Grill (NYSE: CMG) is building a new location at 7 Technology Drive near Interstate 40 at Highway 42 on the Johnston County side of Garner, according to a property listing for the restaurant. The restaurant and surrounding land is listed for just shy of $3.5 million and sits right off N.C. Highway 42.

    "We are currently scheduled to open a new location in Garner in 2025," Chipotle spokeswoman Annie Gradinger said when reached by Triangle Business Journal. "We’re always looking for new communities where we can serve responsibly sourced, classically-cooked, real food and establish new local partnerships, and the Garner area is a great fit."
     
    Smithers likes this.
  16. Smithers

    Smithers Well-Known Member

    It's finally official!
     
  17. markfnc

    markfnc Well-Known Member

    Does anyone know, is that a new hotel or apartments being built back behind the cracker barrel and the other 3 hotels at 40/42?
     
  18. Smithers

    Smithers Well-Known Member

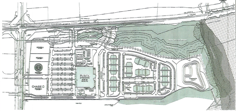
  19. Smithers

    Smithers Well-Known Member

    I can't remember if it has been mentioned here, but an apartment complex is being proposed for the land BEHIND the Publix at 42/50.

    upload_2024-11-19_21-19-42.png

    Also, an AT&T store finishes up the list of tenants at the old DQ at the corner of 42 and Technology Dr. There will be a Chipotle, Mattress Warehouse, AT&T, and Aspen Dental.
    https://www.loopnet.com/Listing/10-Technology-Dr-Garner-NC/33773844/
     
    jesse82nc and markfnc like this.
  20. markfnc

    markfnc Well-Known Member

    There is a zoning sign out near 50, I think case number was 28-24. does anyone know where online to look it up and see what that is? I thought maybe it was these apts. Smithers noted.
     

Share This Page