New Development Activity in the area

Discussion in 'Discussion Group' started by jesse82nc, Aug 14, 2020.

  1. jesse82nc

    jesse82nc Well-Known Member

  2. markfnc

    markfnc Well-Known Member

    tassy likes this.
  3. Bucky

    Bucky Well-Known Member

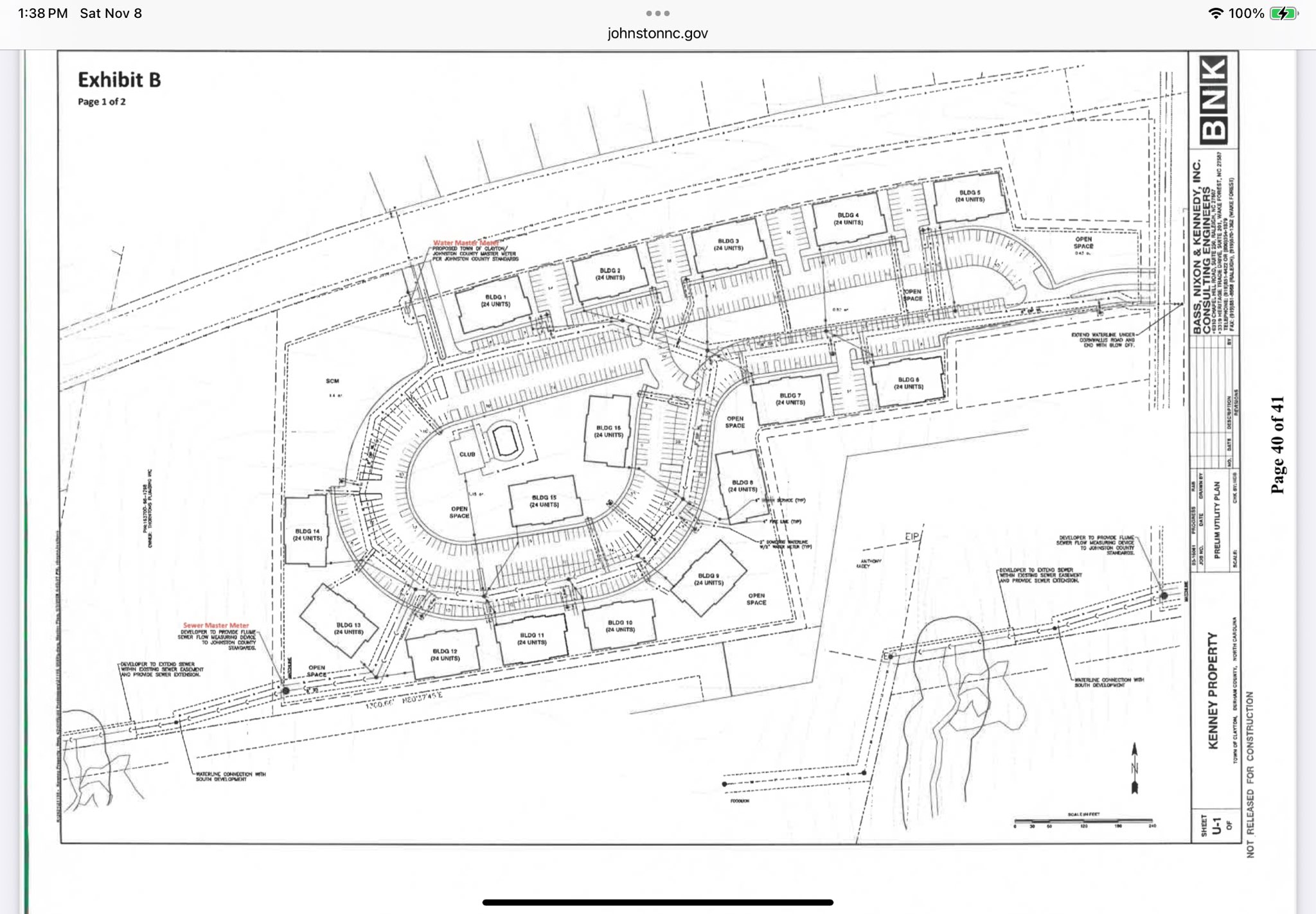
    Wondered if this was ever going to show up again. There was a similar proposal for this same piece of property back during the housing bubble in 2008. They were requesting to build over 900 units covering both sides of the road, then the whole market imploded and that was that. Kind of sorry it’s back again but you cannot stop growth unfortunately.
     
    markfnc likes this.
  4. jesse82nc

    jesse82nc Well-Known Member

    Town of Clayton approved this annexation last night. The developer has 60 days to submit a rezoning plan, which should include more details. Only a handfull of people came to the meeting and spoke. Several said they had just moved here from the north (CT I think one was), and they wanted to know why the town wasn't improving the state DOT owned roads or the county owned schools. Always amazing how many uninformed citizens there are out there that don't understand the role of local goverment and how the law requires them to evaluate these things.
     
    markfnc likes this.
  5. markfnc

    markfnc Well-Known Member

  6. Smithers

    Smithers Well-Known Member

    markfnc likes this.
  7. Bucky

    Bucky Well-Known Member

  8. jesse82nc

    jesse82nc Well-Known Member

    Yay, another car wash. How many do we really need in this area? lol
     
    panthersdude2001 and Smithers like this.
  9. markfnc

    markfnc Well-Known Member

  10. Smithers

    Smithers Well-Known Member

  11. madison

    madison Member

    I may have missed this, what is being built on Cleveland Rd, coming from 42 (Veterans) on the right, before you get to 40?
     
  12. markfnc

    markfnc Well-Known Member

    I had heard rumors on Next-door about a Scooters coffee across from Cleveland ES for a while. On my bid site its now listed as bidding Jan 6, start construction Feb 5. This is on the open lot at that intersection. (Cornwallis & Clev. Rd)
     
    Judge Smails likes this.
  13. jesse82nc

    jesse82nc Well-Known Member

  14. madison

    madison Member

    Mark, do you know what's going on Cleveland Rd near 40? I saw the Choate Construction sign go up?
     
  15. Smithers

    Smithers Well-Known Member

  16. Judge Smails

    Judge Smails Well-Known Member

    Thank you sir. I've been hearing / seeing the same rumors and didn't really believe it because it seems an odd place for a coffee drive-thru. So when Ugly Mug gets their second location rolling there will be two within about a mile. Although I don't know that Ugly Mug will have a drive-thru.
     
    markfnc likes this.
  17. markfnc

    markfnc Well-Known Member

    seems to me to be on the wrong side of the road for morning traffic.
     
    Bucky likes this.
  18. markfnc

    markfnc Well-Known Member

    I noticed this weekend that a temp sign has been added to the left of the Publix, saying some type of physical therapy place. still don't know what take out only food place will be between then and the nail salon.
     
  19. Smithers

    Smithers Well-Known Member

    That should be WingStop. Restaurant plans were already approved by DHHS.
     
  20. markfnc

    markfnc Well-Known Member

    thanks. I know that original site plans showed a Wingstop, I was just surprised it was listed as takeout only on the building permit. the other wing stops I've seen had seating.
     

Share This Page